Logo Passei Direto
Buscar
Material

Prévia do material em texto

DOENÇA DE CHAGAS
AGENTE ETIOLÓGICO DA DOENÇA DE CHAGAS
Reino: Protista
Subreino: Protozoa
Filo: Sarcomastigophora
Subfilo:Mastigophora
Ordem:Kinetoplastida
Subordem:Trypanosomatina
Família: Trypanosomatidae
Gênero: Trypanosoma
Espécie:Trypanosoma (Schizotrypanum) cruzi. Chagas (1909)
HOSPEDEIRO INVERTEBRADO
TRIPOMASTIGOTA METACÍCLICO
É a forma infectiva encontrada no intestino posterior do inseto vetor;
Mede cerca de 17 µm de comprimento;
É fina e com cinetoplasto grande;
Membrana ondulante estreita;
Curto flagelo livre;
Tem capacidade invasiva para atravessar mucosas e a conjuntiva, ou penetrar pelas soluções de continuidade da pele.
TRIPOMASTIGOTA SANGUÍNEO
É capaz de infectar diferentes tipos celulares;
Mede cerca de 20 µm de comprimento por 2 µm de largura;
Apresenta cinetoplasto grande e redondo, bastante saliente;
O flagelo representa cerca de 1/3 do comprimento total;
Há duas formas distintas:
Finas: penetram rapidamente nas células do hospedeiro e são mais sensíveis às reações imunológicas;
Largas: não penetram nas células do hospedeiro e são mais resistentes às reações imunológicas.
São bastante infectivas para os triatomíneos.
AMASTIGOTA
É a forma encontrada dentro da célula parasitada;
É ovóide e mede 4 µm no maior diâmetro;
Não possui flagelo ou membrana ondulante;
Núcleo ovóide e compacto e cinetoplasto com aspecto de disco convexo-côncavo próximo ao núcleo;
Multiplica-se por divisão binária simples (12 horas); 
O ciclo intracelular dura cerca de 5-6 dias e produz cerca de 9 gerações de parasitas.
EPIMASTIGOTA
Desenvolve-se na porção posterior do intestino médio do inseto;
Dimensões variáveis;
Citoplasma abundante;
Cinetoplasto situado perto do núcleo;
Reproduz-se por divisão binária longitudinal;
Muitas vezes os epimastigotas agrupam-se formando rosáceas, com as extremidades flageladas voltadas para o centro.
RESUMO
	Forma
	Hospedeiro
	Multiplicação
	Localização
	Epimastigotas
	Inseto
	Divisão Binária
	Trato digestivo anterior e médio.
	Tripomastigotas Metacíclicos
	Inseto
	Não se multiplica
	Trato digestivo posterior
	Tripomastigotas Sanguíneos
	Mamífero
	Não se multiplica
	Sangue
	Amastigota
	Mamífero
	Divisão Binária
	Interior de Células Nucleadas
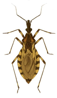
DIFERENCIAÇÃO ENTRE OS 3 TIPOS DE HEMÍPTEROS. AS SETAS INDICAM A LOCALIZAÇÃO DO APARELHO BUCAL.
Hematófago - aparelho bucal reto e que não ultrapassa o primeiro par de patas
Predador - aparelho bucal curto e curvo
Fitófago - aparelho bucal reto e que ultrapassa o primeiro par de patas
DIFERENCIAÇÃO DOS 3 PRINCIPAIS GÊNEROS DE TRIATOMÍNEOS
Rhodnius - inserção das antenas na parte mais extrema da cabeça
Panstrongylus - inserção das antenas bem próxima aos olhos
Triatoma - inserção das antenas entre os olhos e a parte mais extrema da cabeça
HOSPEDEIRO INVERTEBRADO
Reino: Animalia
Subreino:Metazoa
Filo:Arthropoda
Classe:Insecta
Ordem:Hemiptera
Família:Reduviidae
Subfamilia: Triatominae
Gêneros:Triatoma, Rhodnius e Panstrongylus
AGENTE ETIOLÓGICO – Trypanosoma cruzi
Hospedeiros vertebrados: homem, tatu, gambá, cães;
Hospedeiros invertebrados: Triatomíneos
Cinco espécies foram identificadas como responsáveis pela transmissão domiciliar. Por ordem de importância: Triatoma infestans, Panstrongylus megistus, T. brasiliensis, T. sordida e T. pseudomaculata.
CICLO BIOLÓGICO
Os barbeiros adquirem o T. cruzi ao ingerir sangue de animais infectados, ao sugar (muito raramente) o conteúdo intestinal de outro barbeiro infectado ou ao se alimentar de fezes infectadas de outro barbeiro (coprofagia). Não há transmissão do T. cruzi de fêmeas de barbeiro para a prole: os ovos não dão origem a ninfas infectadas. O barbeiro transmite o parasita para o homem (e outros vertebrados) pelas fezes, geralmente após se alimentar de sangue. Quando o inseto faz seu repasto, através da pele de um vertebrado (como o homem), há um grande aumento de líquido em seu organismo. Em conseqüência, ele rapidamente excreta parte desse líquido, na urina ou nas fezes, liberando junto tripomastigotas metacíclicos. Incapazes de atravessar a pele íntegra, essas formas morrem assim que os dejetos do inseto secam, mas, antes disso, podem invadir o organismo e iniciar a infecção se entrarem em contato com mucosas (dos olhos, do nariz e da boca, por exemplo) ou com alguma área lesada da pele (um arranhão causado quando a pessoa picada se coça ou um pequeno ferimento, por exemplo). Os tripomastigotas metacíclicos não se multiplicam no sangue do hospedeiro vertebrado, mas invadem seus tecidos. Após penetrar nas células, eles escapam do vacúolo fagocítico (organela celular que digere materiais estranhos) e se estabelecem no citoplasma celular, onde se tornam amastigotas e passam a se dividir (por fissão binária). Após cinco dias, dezenas ou centenas de amastigotas sofrem um processo de alongamento e se transformam em tripomastigotas, os quais, por sua grande motilidade, provocam o rompimento da célula e a conseqüente liberação dos parasitos para o meio extracelular e a corrente sangüínea. Dessa forma, o T. cruzi é levado a outros tecidos e a infecção é disseminada pelo organismo.
SINAIS E SINTOMAS CLÍNICOS DA DOENÇA DE CHAGAS
FASE AGUDA
Sinal de Romaña
Febre
Hepatoesplenomegalia
Miocardite severa
FASE CRÔNICA
FASE DIGESTIVA
Disfagia
Engasgo
Costipação
FORMA CARDÍACA
Arritmia
Taquicardia
Cansaço
Palpitação
Dispnéia
MÉTODOS DE DIAGNÓSTICO LABORATORIAL PARA DOENÇA DE CHAGAS
FASE AGUDA (Parasitemia)
MÉTODO DIRETO
Método a fresco
Esfregaço/ Gota espessa
Microhematócrito
MÉTODO INDIRETO
Hemocultura
Xenodiagnóstico
MÉTODO MOLECULAR
PCR (kDNA)
FASE CRÔNICA (Parasitemia)
 MÉTODO INDIRETO
Hemocultura
Xenodiagnóstico
MÉTODO MOLECULAR
PCR (kDNA)
MÉTODOS IMUNOLÓGICOS
Fase Aguda (IgMꜛ; IgGꜜ)
Fase Crônica (IgGꜛ)
HAI (Hemaglutinação Indireta)
ELISA (Ensaio Imunoenzimático)
RIFI (Reação de Imunofluorescência Indireta)
TESTE CONFIRMATÓRIO
Teste Western-Blot/ Tesa-Blot (Trypanosoma excreted-secreted antigen/ SAPA- Shed Acute Phase Antigen)
O Western Blot ou Imunoblot também pode ser utilizado para o diagnóstico da doença de Chagas e possui sensibilidade e especificidade de 100%. Nesta técnica, o antígeno de T. cruzi é submetido à eletroforese em gel de poliacrilamida para separação das proteínas desnaturadas de acordo com sua massa molecular. Em seguida, o material fracionado no gel é transferido para uma membrana de nitrocelulose, os soros teste são adicionados e a reação antígeno-anticorpo é evidenciada pelo aparecimento de bandas características. Um dos exemplos desta técnica é o teste comercial TESA-blot (trypomastigote excreted-secreted antigens-blot), que utiliza frações das formas infectantes do T. cruzi no formato de Imunoblotting e tem apresentado ótimo desempenho.
PROTOCOLO DO EXAME
EXAMES COMPLEMENTARES
Eletrocardiograma
Imagem
Ecocardiograma
Raio X
Tórax (PA)
Esôfago (contrastado)
Cólon (Enema opaco)

Mais conteúdos dessa disciplina